Mora
Maclura tinctoria

Quick facts
Native Region
Mexico to South America
Max Height
20-30 meters
Family
Moraceae
Conservation
LC — Least Concern
Uses
Safety Information
Toxicity Details
Low toxicity. Member of Moraceae family (mulberry/fig), which often have milky latex. Fruits are technically edible but not palatable—small and dry. Sap may contain mild irritants. Tree is not considered dangerously toxic. However, some Moraceae species can cause reactions in latex-sensitive individuals.
Skin Contact Risks
Milky sap can cause mild skin irritation in some people, similar to other Moraceae family members. Generally safe to handle but wash hands after contact with sap. Branches have thorns which pose physical injury risk.
Allergenic Properties
Low allergen risk. May cause mild reactions in individuals allergic to latex or other Moraceae family members (figs, mulberries). Not a significant allergen.
Wildlife & Pet Risks
Safe for wildlife. Fruits are eaten by birds and small mammals despite being dry and small. Not known to be toxic to pets or livestock.
Season
Flowering
Mar-Apr
Fruiting
Jun-Aug
How to identify
Mora (Dyer's Mulberry / Fustic)
The Mora (Maclura tinctoria), known internationally as Fustic or Dyer's Mulberry, has a history intertwined with global trade and textile arts. For centuries, the brilliant yellow heartwood of this tree was one of the most sought-after natural dyes in the world, shipped from Central and South America to Europe where it colored fabrics from peasant cloth to royal robes. Though synthetic dyes have largely replaced it, the Mora remains an important tree throughout the Neotropics, providing durable wood, food for wildlife, and a living connection to the pre-synthetic age when trees provided the colors that dressed the world.
Quick Reference
iNaturalist Observations
Community-powered species data
290+
Observations
186
Observers
📸 Photo Gallery
Whole tree
📷 (c) Manuel Víquez Carazo, all rights reserved(CC BY-NC)
View source ↗Leaves
📷 (c) Manuel Víquez Carazo, all rights reserved(CC BY-NC)
View source ↗Whole tree
📷 (c) Johan Gonzalez, all rights reserved(CC BY-NC)
View source ↗Leaves
📷 (c) Johan Gonzalez, all rights reserved(CC BY-NC)
View source ↗Whole tree
📷 (c) Shirley Innecken, all rights reserved(CC BY-NC)
View source ↗Photos sourced from the iNaturalist citizen science database. View all observations →↗
Taxonomy and Classification
- Maclura: After William Maclure, American geologist - tinctoria: Latin for "of dyers" - referring to its dye use - Moraceae: The mulberry/fig family - "Fustic" comes from Old French "fustoc" ultimately from Arabic
Common Names
Related Species
Physical Description
General Form
The Mora is a medium to large deciduous to semi-evergreen tree with a spreading crown. It is armed with sharp thorns on branches and twigs, especially on younger growth. The tree often has a slightly crooked trunk and irregular branching.
Identification Features
Bark and Trunk
- Bark color: Grayish-brown
- Texture: Rough, fissured
- Latex: White milky sap when cut
- Heartwood: BRIGHT YELLOW (distinctive!)
- Thorns: Present on branches
Leaves
- Type: Simple, alternate
- Shape: Ovate to elliptic
- Size: 5-15 cm long
- Margin: Serrated (toothed)
- Texture: Rough above, pubescent below
- Color: Dark green, yellow in dry season
Flowers
- Type: Dioecious (male/female separate)
- Male: Small catkins
- Female: Rounded heads
- Color: Greenish-yellow
- Timing: Early rainy season
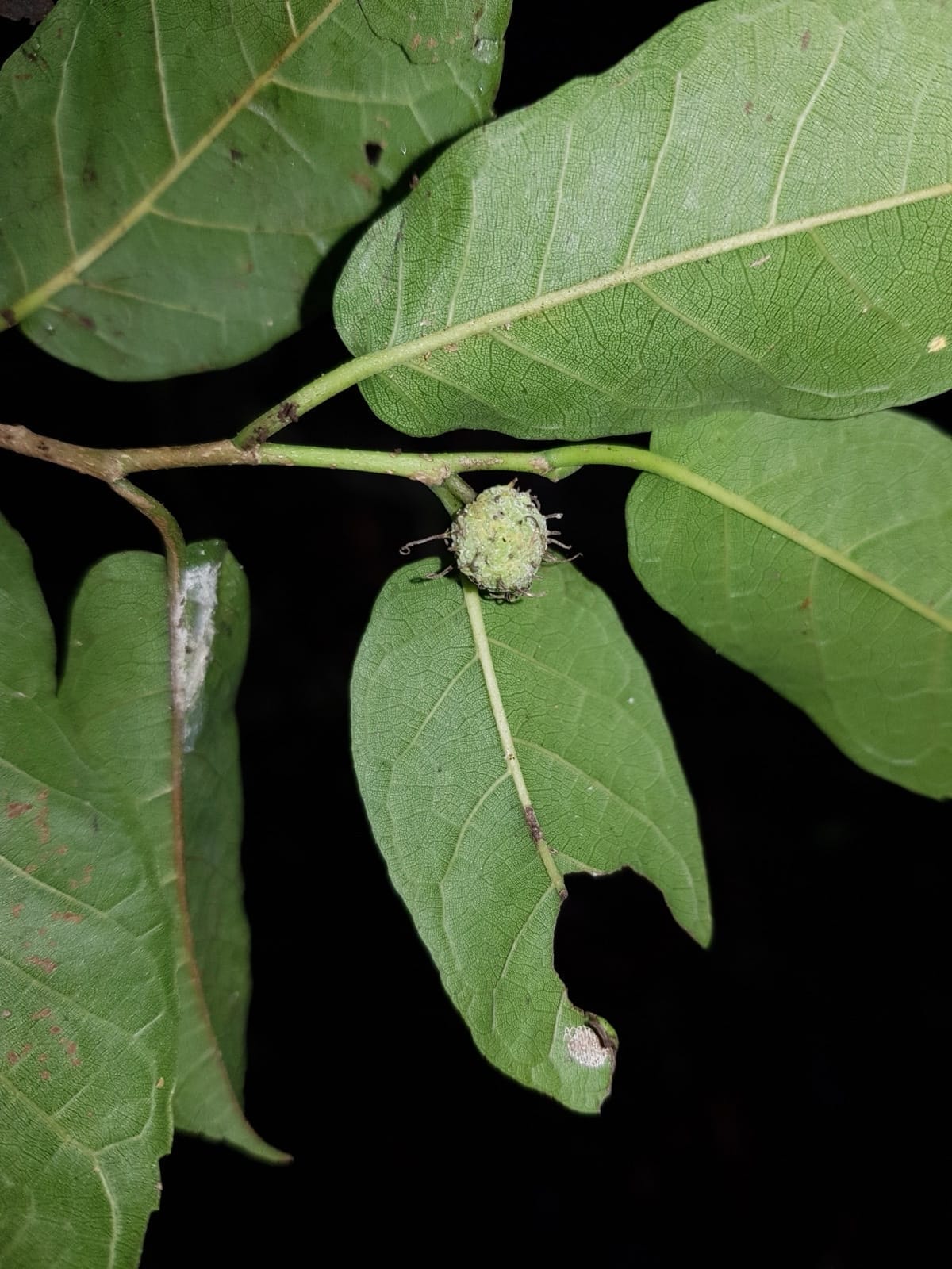
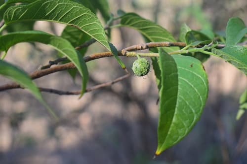
Fruit
- Type: Multiple fruit (syncarp)
- Shape: Rounded, lumpy
- Size: 2-4 cm diameter
- Color: Green to yellow when ripe
- Edible: Yes, sweet when ripe
- Seeds: Small, embedded in flesh
The most distinctive feature of Mora is its heartwood: The Golden Test: - Cut a branch or look at cut wood - Heartwood is BRIGHT YELLOW - Intensely colored, obvious - Will stain hands yellow - Unique among common trees Other Identifiers: - Thorns on branches - White milky latex - Rough-textured leaves - Lumpy multiple fruit Similar Trees: - Other Moraceae have milky sap - But NONE have such yellow wood - The heartwood color is diagnostic
Distribution and Habitat
Global Distribution
Geographic Distribution
Distribution in Costa Rica
Habitat Preferences
Historical Importance: The Dye Trade
Fustic: The Golden Dye of the Americas
The Mora's heartwood changed the history of textiles: The Dye: - Produces brilliant golden-yellow - Can be modified to orange, olive, gold - Color-fast and durable - Works on wool, silk, cotton Historical Trade: - Exported from Spanish colonies 1500s onward - Major trade commodity for centuries - Ships carried tons of dye wood to Europe - Called "Old Fustic" to distinguish from other yellows Uses: - Textile dyeing (primary use) - With indigo: greens - With madder: oranges - Wood staining - Ink production Decline: - Synthetic dyes (1856 onward) reduced demand - But natural dyeing revival has renewed interest - Still used by artisan dyers today For centuries, the forests of the Americas provided the golden color that dressed much of the world.
The Dyeing Process
Ecological Importance
Wildlife Value
Mammals
- Bats: Fruit dispersers
- Monkeys: Eat ripe fruit
- Agoutis: Fallen fruit
- Peccaries: Ground foraging
Birds
- Toucans: Eat fruit
- Parrots: Feed on fruit
- Various frugivores: Important food source
- Nesting: Dense crown provides sites
Mora plays an important role in forest regeneration: Pioneer Characteristics: - Fast growth in full sun - Tolerates poor soils - Produces abundant fruit - Attracts seed dispersers Succession Role: - Colonizes cleared areas - Provides shade for forest species - Contributes to soil building - Eventually replaced by climax species For Restoration: - Good choice for degraded lands - Attracts wildlife quickly - Native and adapted - Provides early shade
Uses
Timber
Wood Properties
Other Uses
Cultivation
Growing Mora
Identification Guide
How to Identify Mora
Where to See Mora in Costa Rica
Mora is common but often overlooked: Where to Look: - Forest edges and clearings - Old pastures - Living fence rows - Secondary growth areas How to Confirm: - Look for thorny branches - Check for milky latex - If possible, see heartwood (yellow) - Lumpy round fruits when present Best Viewing: - Dry season: May see yellow fall color - Fruiting: Attracts wildlife - Any time: Yellow heartwood diagnostic Ask locals about "Mora" - it's well-known as a dye and fence tree throughout Central America.
External Resources
Community observations and photos
Information on natural dyeing
Global biodiversity occurrence data and distribution maps
Conservation status and species assessment
References
📚 Scientific References & Further Reading
Cardon, D. (2007). Natural Dyes: Sources, Tradition, Technology and Science. Archetype Publications
Francis, J.K. (1990). Maclura tinctoria - Fustic. USDA Forest Service Fact Sheet
Before synthetic chemistry transformed the world, the colors that adorned humanity came from nature—from plants, insects, minerals, and shells. The Mora was one of the great color-givers, its golden heartwood sailing across oceans in the holds of ships to color the textiles of Europe. Today, those trade routes are forgotten, the synthetic aniline dyes have conquered the market, and the Mora stands quietly in the forests and field edges of Central America, largely unaware of its illustrious past. But cut into a branch and the gold is still there—brilliant, unmistakable, a reminder that trees once dressed the world. For natural dyers keeping the old arts alive, for curious naturalists wanting to understand history, for anyone who has wondered where colors came from before chemistry, the Mora stands ready to share its gift. Its thorny branches guard that golden heart, but the color within has been freely given for centuries, painting the world in shades of sun.
Safety Information Disclaimer
Safety information is provided for educational purposes only. Individual reactions may vary significantly based on age, health status, amount of exposure, and individual sensitivity. Always supervise children around plants. Consult a medical professional or certified arborist for specific concerns. The Costa Rica Tree Atlas is not liable for injuries or damages resulting from interaction with trees described in this guide.
• Always supervise children around plants
• Consult medical professional if unsure
• Seek immediate medical attention if poisoning occurs
Information compiled from authoritative toxicology sources, scientific literature, and medical case reports.
Help improve this page
Know something about this tree? Share local knowledge, suggest a correction, or submit a photo to improve this guide for everyone.



